U.S. strikes $80 billion deal for new nuclear power plants
Three major companies announced on Tuesday that at least $80 billion worth of nuclear reactors will be built across the United States in partnership w...
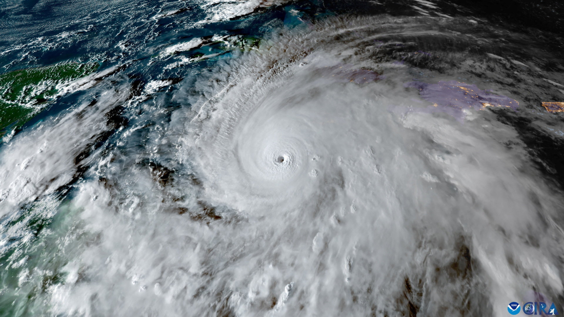
Hurricane Melissa though yet to make landfall in Jamaica underwent extreme rapid intensification on Monday, strengthening from a category 4 to a category 5 with winds of up to 175mph.
Melissa, now set to be the strongest storm on the planet this year and the worst storm to hit Jamaica in decades, started as a tropical storm on Saturday before exploding to a category 4 on Sunday.
Its winds escalated from 70mph to 140mph making it one of the fastest intensifications on record in the Atlantic Ocean.
So far, three people have died in Jamaica as the National Hurricane Center warns of catastrophic coniditions including storm surges, winds and significant infrastructural damage.
Scientists say Melissa is the fourth storm in the Atlantic this year to undergo rapid intensification, pointing to human induced climate crisis which warms the oceans as a potential cause.
Establishing a direct link between human induced climate crisis and the dynamic nature and intensity of Hurricane Melissa is complicated.
While not directly responsible for its cause, certain results of climate change can give rise to the storm's rapid evolution from a tropical storm to a category 5 Hurricane with the latest reported windspeeds of 180mph.
Dr Emily Vosper, a Senior Research Associate in Climate Extremes from the University of Bristol said, "In the Caribbean, severe rainfall hurricanes, such as Hurricane Maria which hit Puerto Rico in 2017, are twice as likely to occur1 in the 2C warmer world compared to a 1.5C world.
This is driven by the increased water holding capacity of the atmosphere by a rate of 7% per 1C of warming. This relation is known as the Clausius-Clapeyron effect and is observed in extreme rainfall. Hurricanes such as Melissa will therefore carry more rainfall than pre-industrial times as a result of climate change." she said.
Vosper added that Hurricane Melissa is particularly hazardous due to its slow-moving nature known as "stalling" which means that the windspeed and power will cause a great volume of destruction as it moves slowly through Jamaica.
In addition, the International Panel on Climate Change (IPCC) in their latest assessment report, concluded that "the proportion of Category 4–5 Tropical Cyclones will very likely increase globally with warming".
This means that the frequency of intense hurricanes will continue to increase as the world gets warmer.
A small, silent object from another star is cutting through the Solar System. It’s real, not a film, and one scientist thinks it might be sending a message.
At least 69 people have died and almost 150 injured following a powerful 6.9-magnitude earthquake off the coast of Cebu City in the central Visayas region of the Philippines, officials said, making it one of the country’s deadliest disasters this year.
A tsunami threat was issued in Chile after a magnitude 7.8 earthquake struck the Drake Passage on Friday. The epicenter was located 135 miles south of Puerto Williams on the north coast of Navarino Island.
The war in Ukraine has reached a strategic impasse, and it seems that the conflict will not be solved by military means. This creates a path toward one of two alternatives: either a “frozen” phase that can last indefinitely or a quest for a durable political regulation.
A shooting in Nice, southeastern France, left two people dead and five injured on Friday, authorities said.
Billionaire investor and philanthropist Bill Gates called on world leaders on Tuesday to adapt to extreme weather and focus on improving health outcomes rather than temperature reduction targets ahead of the COP30 climate talks in Brazil.
Three people have died in Jamaica as Hurricane Melissa, possibly the island’s strongest storm ever, approaches with “catastrophic” conditions, warn U.S. meteorologists.
A 6.1-magnitude earthquake struck the Sındırgı district in western Türkiye’s Balıkesir province late on Monday, according to the country’s Disaster and Emergency Management Authority (AFAD).
As Hurricane Melissa barrels towards Jamaica as a powerful Category 4 storm, questions often arise about how these tempests get their names.
The U.N. weather agency plans to cut some posts and is reviewing its priorities as dozens of countries, including the United States, are late with their fees, a spokesperson said on Friday.
You can download the AnewZ application from Play Store and the App Store.
What is your opinion on this topic?
Leave the first comment